hurricane

No Storm Surge of Reverb this week

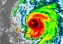
Hurricane Ida

As I type this, Ida is cruising through the New Orleans area. Thankfully, I'm safe in Florida with my family. A little worried about my home and car, moreso worried about many friends that stayed, but the most important things are all here.

By some wild miracle, WTUL appears to still be broadcasting, though our web stream is down. Given that nearly all of New Orleans is without power (WTUL is likely running on generators), this doesn't seem to be worth troubleshooting.

Tags: 

Subscribe to RSS - hurricane